Shagra & Nakari 2009 - Vibufi - Viele bunte Fische

< Zurück | Übersicht | Weiter >

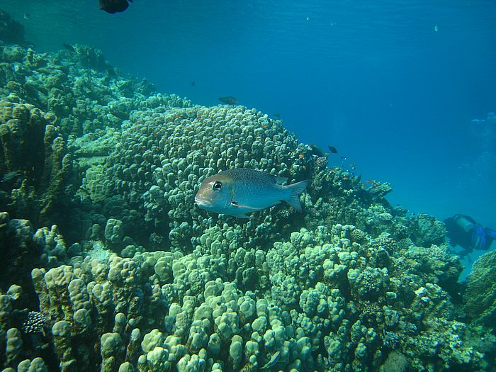
Monotaxis grandoculis - Großaugenstraßenkehrer

·< Anfang | < Zurück | Übersicht | Weiter > | Ende >·


Bild 14 von 51  

Galerie erstellt mit HomeGallery 1.4.10