Fische IV (Rochen, Aale und Brunnenbauer)

< Zurück | Übersicht | Weiter >

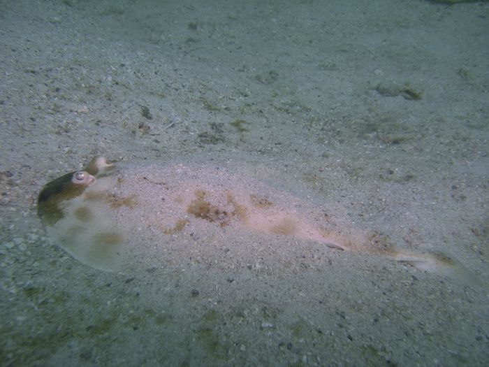
Augenfleck-Zitterrochen - Bullseye electric ray (Diplobatis ommata)

·< Anfang | < Zurück | Übersicht | Weiter > | Ende >·


Bild 8 von 20  

Galerie erstellt mit HomeGallery 1.4.10